生命科学研究技术在不断发展和进步,生物学的研究层面也在不断拓展,从组织到细胞再到细胞的空间分布定位,生命科学的研究正在进行从二维到三维的巨变。空间转录组是这一转变的引领者之一。
01. 文章展示
文章题目:Transcriptome-scale spatial gene expression in the human dorsolateral prefrontal cortex
杂志名称:BioRxiv
发表单位:约翰霍普金斯大学,10x Genomics
发表时间:2020.02.28
主要技术:10x Genomics Visium 空间基因表达解决方案
02. 技术背景
人类大脑结构非常复杂,一般认为大脑的空间结构与大脑的功能密切相关,大脑的不同区域对应着不同的功能,然而常规 scRNA-seq 测序数据丢失了细胞的空间位置信息。另外由于大脑神经元比较脆弱,目前多数 scRNA-seq 的组织消化方式难以保证大量神经元的存活,同时由于大脑组织的特殊性,许多样本经过冰冻处理,只能使用 snRNA-seq 抽细胞核的方式获取数据。这种方式则丢失了细胞质及轴突和近端树突信息,而越来越多的文献研究结果表明,snRNA-seq 方法遗漏的核外信息可能与理解大脑疾病的遗传风险特别相关。10x Genomics Visium 空间转录组技术在玻片上合成 cDNA, 克服了 scRNA-seq 和 snRNA-seq 技术的局限性,既保留了细胞空间坐标也保留了组织中完整的细胞内信息。今天分享的文章就是应用 10x Genomics Visium 空间转录组技术发表的首篇文章。
03. 主要研究成果
1. 鉴定了人脑组织中层富集(layer-enriched)基因,描绘了 DLPFC 基因表达图谱
2. 单细胞空间转录组数据结合 snRNA-seq 数据加强了细胞空间注释准确性
3. 通过整合分析神经精神病基因集发现人脑组织中层富集(layer-enriched)基因和精神分裂症及自闭症谱系障碍相关,说明空间转录组相关技术可以应用于临床。
4. 建立了数据驱动框架(data-driven framework)用来鉴定空间转录组的类群,该方法还可以广泛应用于其他形态结构不像皮质薄层这么清晰的组织。
5. 建立了一个网页应用程序,研究者们可以应用这些数据进行进一步的研究。

04. 分析方法
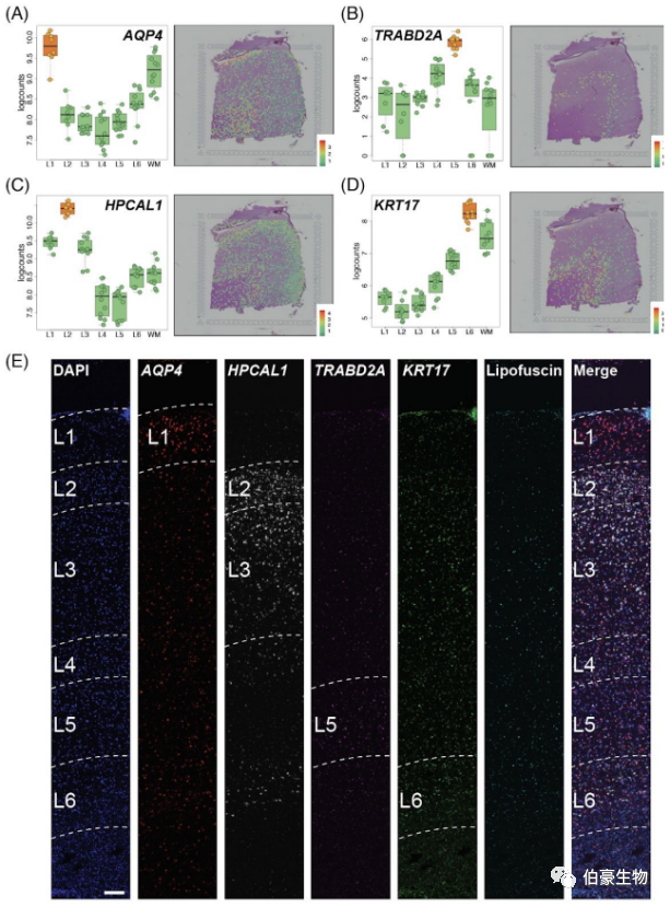
1. 通过描绘第 6 层(L6)和相邻的白质(WM)之间的边界结合每个组织切片的灰质 / 神经元,WM / 少突胶质细胞和 L5 的标记基因(SNAP25、MOBP 和 PCP4)识别 L5,确认每个样品的方向。

2. 在每个组织切片中将空间转录组的 spot 数据压缩到 6 层加一个白质水平(图 A),主成分分析和 ANOVA,enrichment,pairwise 等模型都显示了不同层之间的基因差异(图 BCDE)。PCA 中主成分主要区分灰质和白质,第二个主成分主要区分不同层。

3. 本文研究者系统地评估了在成人 DLPFC 层富集基因表达数据集中先前鉴定的标记基因的稳健性。发现在之前报道中的层富集基因在空间转录组中也高度富集。并鉴定出了之前没有报道过的 FABP7, ADCYAP1, PVALB 等层富集基因。原位杂交(ISH)和多路单分子荧光原位杂交(smFISH)技术也印证了空间转录组的鉴定出的新层富集基因。


4. 相关性热图显示空间转录组的层富集基因和 snRNA-seq 的层富集结果有较高的相关性,同时结合 snRNA-seq 鉴定出的细胞类型结果确定了不同层的细胞类型。

5. 使用 SFARI 基因集数据库(Abrahams et al., 2013)明确了和 ADS 相关的基因富集在 L2,L5 和 L6 层。已经报道的 102 个 ASD 相关的基因集在空间转录组中富集在了两个不同的层,53 个与自闭症(ASD)相关的基因富集在 L5 层,另外 49 个与发育迟缓(DDID) 的经验集富集在 L2 层,提示不同功能的神经元亚类可能对每个临床亚类有贡献。

6. 使用三种不同的“数据驱动”方法对空间 spot 进行聚类,这种“数据驱动”方法同样适用于大脑的其他区域或者其他的组织。在每个样本中使用 SpatialDE 方法 确定具有空间可变表达模式(SVGs)的基因集同时用 scran 包确定高变基因集。这两个基因集都不含层流信息(laminar information)但是可以区分层流和非层流空间模式。比如 HBB,IGKC,NPY 等 SVGs 基因是非层流的,可能与血细胞,免疫细胞,抑制性神经元等分类相关。使用人工标注的层结果作为金标准,用校正后兰德指数(ARI)比较了 unsupervised, semi-supervised and markers 三种方法的性能。semi-supervised 方法获得 ARI。

文章中所使用的数据已及所有数据处理代码都在网上提供(http://spatial.libd.org/spatialLIBD)。
05. 总结
鉴于空间转录组学将分子细胞类型与连接的形态、生理和功能相关联系起来的前景,这些方法将是神经科学和精神病学转录组学的下一个前沿。该文章也为空间转录组的应用提供了一个新的思路和方向。
伯豪生物空间转录组测序服务优势
高质量切片:切片、贴片经验丰富,针对不同组织优化了解决方案。
流程化分析:完善的分析流程,准确快速解析空间转录组数据。
标准化内控:丰富的实操经验构建了标准化的内控体系。
专业化团队:资深的技术团队具有多年项目方案设计、实验操作、售后分析等经验。
全流程服务:提供组织冷冻包埋、贴片、切片、透化、建库测序及数据分析的全套服务。
更多伯豪生物人工服务:

